Ураганот Ерин се врати во бура од категорија 4, со ветрови од 210 км/ч и се протега во круг од 370 километри, соопшти Националниот центар за урагани во неделата вечерта. Бурата се наоѓа на околу 1.600 км југоисточно од Кејп Хатерас, Северна Каролина, и се движи кон северозапад, објави Си-ен-ен.
Иако не се очекува бурата директно да стигне до копно, метеоролозите предупредуваат дека силните бранови ќе претставуваат значителна закана, почнувајќи од понеделник на јужните плажи, а подоцна во текот на неделата во североисточните крајбрежни области.
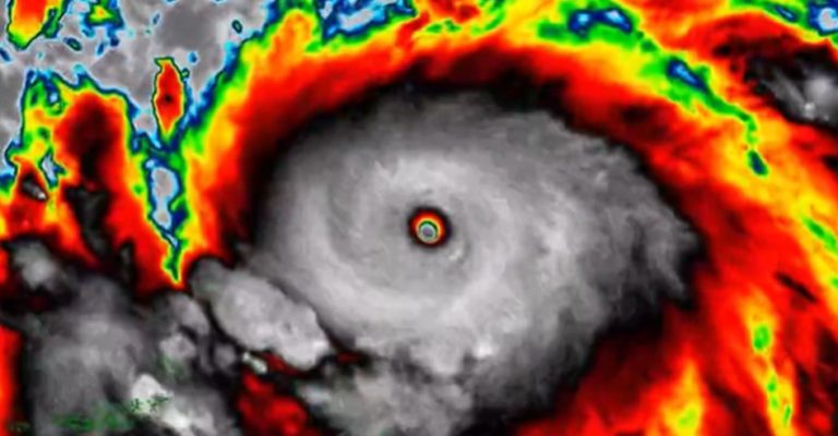
Last night, the 53rd Weather Reconnaissance Squadron flew into the eye of Hurricane Erin—and captured imagery of the breathtaking stadium effect.
These missions provide critical data to the NHC to improve forecasts, helping keep communities safe before the storm makes… pic.twitter.com/RpAs7yMDRf
— Hurricane Hunters (@53rdWRS) August 16, 2025
Метеоролозите предупредуваат дека струјата ќе претставува закана дури и пред да бидат видливи високите бранови, па затоа пливачите се повикуваат да бидат исклучително внимателни.
Поради сериозноста на ситуацијата, округот Дер, Северна Каролина, прогласи локална вонредна состојба и издаде задолжителна наредба за евакуација на островот Хатерас.
Apparently the Puerto Rican frogs are big fans of Hurricane #Erin 🐸🌀
The coqui frogs were having a LOUD discussion yesterday as Erin’s outer bands were lashing the island with rain and wind.
It’s also possible they didn’t like Erin but we don’t speak frog… #PRwx pic.twitter.com/Dj0ZU0KC0b
— WeatherNation (@WeatherNation) August 17, 2025
„Поплави од крајбрежјето и прелевање на океанот се очекуваат уште во вторник, 19 август, и ќе продолжат до четврток, 21 август. Делови од автопатот 12 на Северна Каролина на островот Хатерас веројатно ќе бидат непроодни неколку дена“, се вели во соопштението.
Надворешните рабови на Ерин веќе носат обилни дождови во Порторико, каде што се очекуваат уште 5 до 10 сантиметри дожд до понеделник, а досега 100.000 луѓе останаа без струја. Обилни дождови, до 6 сантиметри, се предвидуваат и за источните Бахами, каде што се на сила предупредувања за тропски бури, заедно со ризик од ненадејни поплави и лизгање на земјиштето.
Ерин доживеа неверојатно брза промена на силата, феномен што станува сè почест како што се затоплува планетата. За само 24 часа, бурата се претвори од ураган од категорија 1 со ветрови од 120 километри на час, во ретка категорија 5 со ветрови од речиси 260 километри на час. Ова го направи Ерин еден од најбрзо зајакнатите атлантски урагани некогаш забележани.
A hi-res IR view of Hurricane Erin’s impressive eye, as seen yesterday by GOES-East.
Still in awe. pic.twitter.com/os72K6BVPs
— Nahel Belgherze (@WxNB_) August 17, 2025
Овој феномен се јавува кога ураганот се зајакнува за најмалку 55 километри на час за 24 часа. Ваквите промени историски се случувале подоцна во сезоната, но поради затоплувањето на океаните и атмосферата, тие стануваат сè почести. Ерин, исто така, стана еден од само 43 урагани од категорија 5 регистрирани во Атлантикот, од кои 11 се случиле од 2016 година.
Ерин е првиот голем ураган во оваа атлантска сезона. Пред него, четири именувани системи – Андреа, Бери, Шантал и Декстер – не успеаја да се зајакнат над силата на тропските бури. Долгорочните прогнози покажуваат дека може да се очекуваат нови бури во истиот дел од Атлантикот барем до почетокот на септември, а метеоролозите предвидуваат надпросечна тропска активност оваа година.
фото: принтскрин